Cần bán 3 năm trước 50598-00019
1

Bán đất

1.35 tỷ
VNĐ
Huyện Thủy Nguyên, Hải Phòng
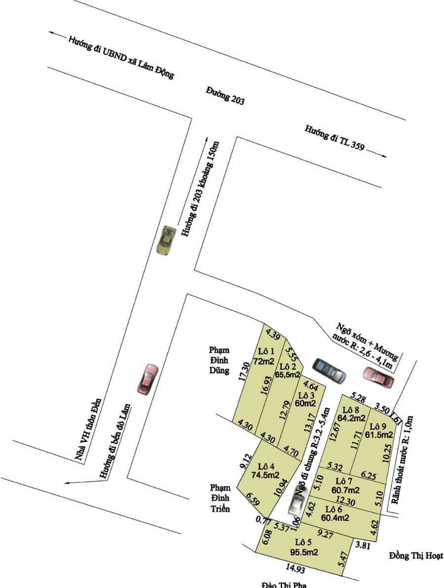
Landchat - Diện tích đất 72 m2     Landchat - Diện tích sử dụng 72 m2     Landchat - Mặt tiền 4.5 m     Landchat - Hướng nhà đất Đông Nam
Thông tin khu vực
Landchat - Đường trước nhà    •    đường trước nhà
Mô tả
NGÀY MAI 16/10 ÂM LỊCH . SÀN BĐS MINH PHÚC MỞ BÁN HÀNG FO LÂM ĐỘNG. Kính mời quý khách hàng, quý nhà đầu tư, cùng toàn thể anh chị em mô giới, 9h sáng mai tới dự lễ động thổ, làm mặt bằng phân lô và mở bán 9 lô fo lâm động. tặng ngay 2 chỉ vàng 9999 cho quý khách hàng chốt cọc thành công trong ngày khai trương . Sự hiện diện của quý khách là niềm vinh dự đối với sàn chúng tôi. Rất hân hạnh được đón tiếp . nhanh tay liên hệ :

☎️ Mr: Hơn...0368277786
———————————————————
🏫SÀN GIAO DỊCH BẤT ĐỘNG SẢN MINH PHÚC
🛣️ : Số 32 Đỉnh dốc- Núi Đèo- Thủy Nguyên - Hải Phòng.
📧 Wedside: Nhadatminhphuc.com
✔️Mua bán ,tư vấn, thẩm định nhà đất...
✔️ Hỗ trợ vay vốn ngân hàng 70%, hỗ trợ 24/7
✔️ Dịch vụ thủ tục pháp lý
Cập nhật lần cuối: khoảng 3 năm trước

ĐĂNG KÝ NHẬN THÔNG TIN

Gửi đăng ký

Bất động sản tương tự quanh đây
Bất động sản mới nhất cùng người đăng